조황관리HOME / 조황관리 / 상세정보

제목 : (거제하모니호)오늘도 피딩
등록일 : 2024-12-20



반갑습니다
거제하모니호진선장입니다 
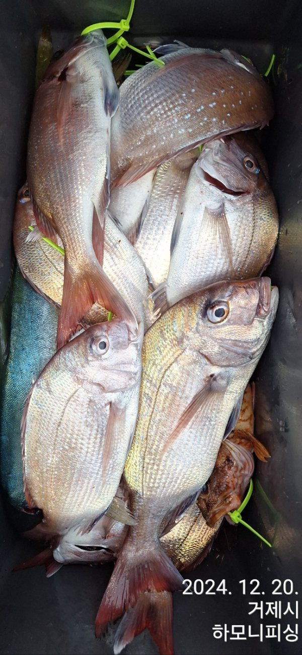
오늘도 역시나~~!
오전 시작하자말자 피딩!!!(참돔)
점심  피딩!!!(참돔구이 방어회)
오후  철수때까지 피딩!!!!(참돔)

하루 종일 재미있게  즐기다 왔습니다 

평일 자리여유 많이 있습니다


평일 이벤트 중입니다

1734686642990-2.jpg


1734686642990-1.jpg


1734686642990-0.jpg


TimePhoto_20241220_164749.jpg


TimePhoto_20241220_164705.jpg


TimePhoto_20241220_164647.jpg


TimePhoto_20241220_164710.jpg


TimePhoto_20241220_164730.jpg


TimePhoto_20241220_164734.jpg


TimePhoto_20241220_160042.jpg

 


#공지 #출항정보 #출조공지 #타이라바 #지깅 #오프쇼어 #버티컬지깅 #러버지깅#한치이카메탈#한치루어

 

[출조 정보 공지-타이라바,한치루어갈치생미끼]

 

예약문의 : 진태종 선장 010-9654-1715

 

[출조 안내]

1. 선단

     하모니호(9.77,정원22)

 

     장점 : 동급 몰드 롤링 다이(스테빌라이져)추가 설치

            구상선수(앞코)적용

            롤링 최소화 및 안정적인 이동

            바람영향 최소화

            루어낚시 및 집어낚시에 최적화

      
     타이라바 출조 배석: 최대  16석

     한치루어 출조 배석 : 최대 20
     갈치루어 출조 배석: 최대 18석
     
     


2.
출조 안내

  

  

    상황에 따라서 유동적입니다.

 

    타이라바    선 비 :12만원

    한치루어     
선 비 : 12만원
    문어루어                선비:내만 7만원 
    갈치  지깅,텐빈           선비: 12만원

    계좌번호 : 수협 0010-9654-1715

 

기본제공품.커피.생수.점심식사.컵라면


3.
장비 일체 대여 가능 : 대여료 각 1만 세트 2


4.
사무실 구비/판매
갈치낚시 채비일절
한치루어소품
이카메탈/수테

타이라바 전용 로드

타이라바 베이트릴

합사 0.8~3.0 구비

스커트/타이라바세트

유동식 헤드

목장갑



4.
편의시설

출조전,후 대기 사무실

커피, 생수, 라면 취식 가능

쾌적한 공간


- 구명복 착용필수, 승선시 구명복을 가지고 오세요.
  (없는분은 배에 비치되어 있습니다.)

- 신분증은 꼭 지참하여야 승선이 가능합니다.

- 배에서 음주는 절대 허용되지 않습니다.

- 주소 : 경남 거제시 일운면 지세포해안로89-18  (네이버 "지세포유람선" 검색)

- 계좌안내 : 수협 / 0010-9654-1715/ 진태종
▷ 예약시 예약금을 입금하여야 예약이 가능합니다.
▷ 입금 확인 후 예약이 완료 됩니다.
▷ 당일 취소시 예약금은 환불이 불가합니다.

===== 거제도 하모니호 예약안내 =====

예약문의 : 010-9654-1715 (진선장)~갈치.열기.한치.타이라바
                  
오신는길 : 경남 거제시 일운면 지세포 해안로89-19
                  지세포유람선
홈페이지 : http://harmony.sunsang24.com/

'하모니피싱' 밴드로 초대합니다.
네이버 밴드 : https://band.us/band/7503634

저희 하모니피싱은 기상상황이 허락한다면 매일 출조할 계획입니다.
Top